Центральне перехрестя Переяслава зазнає змін: там планують облаштувати пішохідні зони та кільцевий рух. Про це розповів голова громади Вячеслав Саулко, інформує Proslav.

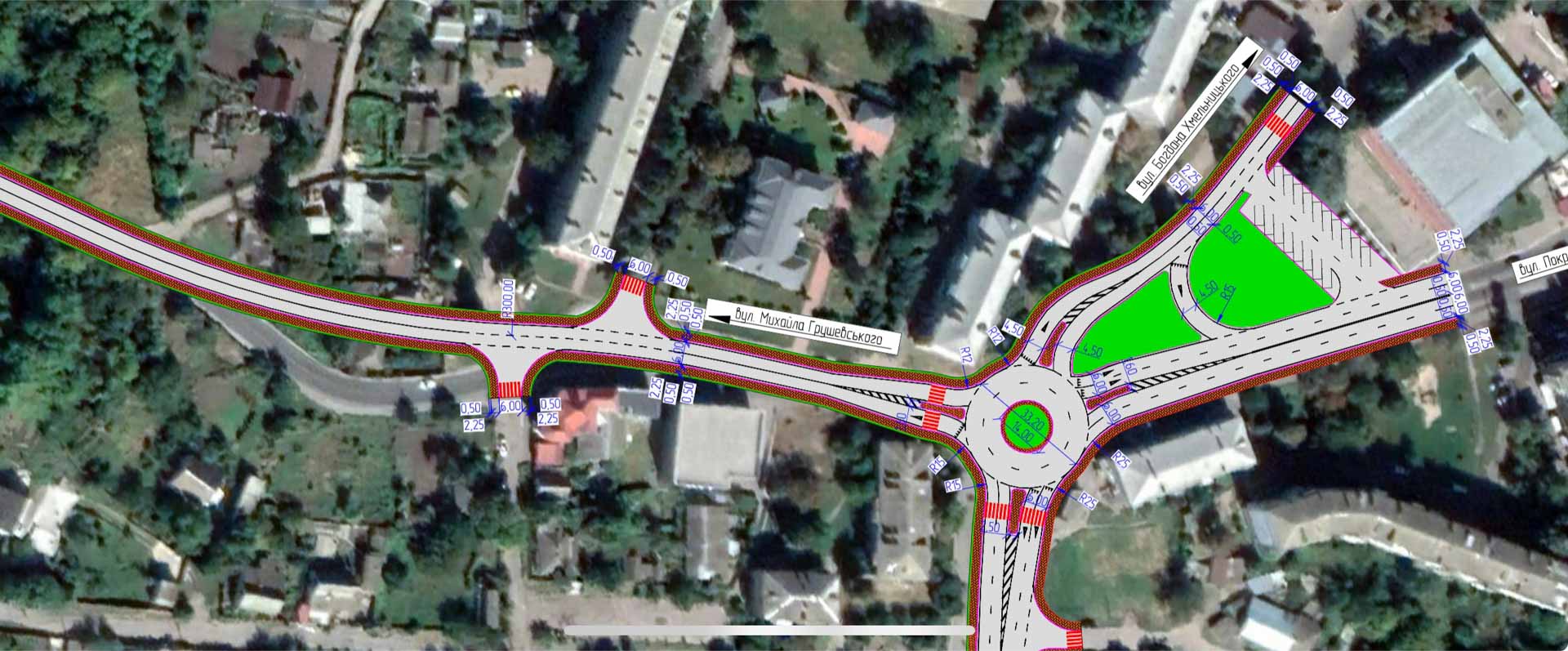
«Перехрестя вулиць Покровської, Михайла Грушевського та Богдана Хмельницького вже тривалий час створює незручності для учасників дорожнього руху та, на жаль, сприяє виникненню ДТП. Пішохідні зони також потребують оновлення», – зазначив у відео-зверненні мер Переяслава.
За його словами, на цій локації планують облаштувати пішохідні доріжки, а на самому перехресті – острівок безпеки з рухом по колу.
«Щиро дякую кожному, хто долучається до розвитку громади та активно шукає можливості для змін на краще! Усе це вдається реалізовувати завдяки нашим мужнім Силам оборони! Безмежна їм вдячність та повага!» – додав Саулко.





Нагадаємо, на озеленення Переяславської громади спрямують майже 2,7 млн грн екологічного податку.



